Používame cookies

Súbory cookie a ďalšie technológie sledovania používame na zlepšenie vášho zážitku z prehliadania našich webových stránok, na to, aby sme vám zobrazovali prispôsobený obsah a cielené reklamy, na analýzu návštevnosti našich webových stránok a na pochopenie toho, odkiaľ naši návštevníci prichádzajú. Viac info

GARANT REAL - predaj záhradky 260 m2 - 430 m2, Prešov, Solivar

Interné ID: 14301
Ulica: Prešov
Mestská časť: Solivar
Obec: Prešov
Okres: Prešov
Kraj: Prešovský kraj
Druh: Pozemky
Typ: Predaj
Typ pozemku: Záhrada
25 €/m2

Popis nehnuteľnosti

GARANT REAL predaj záhradky 260 m2 - 430 m2, Prešov, Solivar

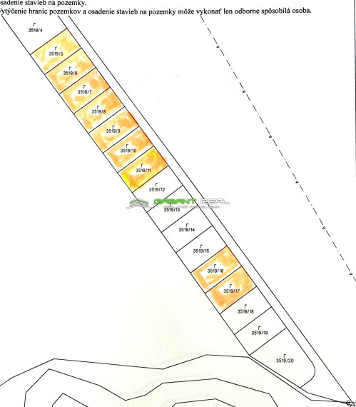
Ponúkame na predaj 17 záhradiek o výmerách 261 - 436 m2, lokalita za Šalgovíkom - smer Teriakovce, katastrálne územie Solivar.

ZÁKLADNÉ ÚDAJE:
- rovinatý pozemok 6196 m2 bol rozdelený na záhradky 
- rozmery celého pozemku 29 m x 217 m / 249 m na dlhšej strane
- jednotlivé záhradky majú rozmery cca 24 x 11 m, 
- prístupový cesta k celej parcele je vo vlastníctve Slovenskej republiky, prístupová cesta 4,25 m šírka, v budúcnosti bude rozšírená na šírku 8,5 m, bezprostredne pri záhradkách bude v podielovom spoluvlastníctve majiteľov záhradiek, kupuje sa k záhradke v podiele 1/17 k záhradke za rovnakú cenu ako záhradka
- v súčasnosti k pozemku vedie poľná prístupová cesta
- na záhradke je možné postaviť záhradný domček 

INŽINIERSKE SIETE:
- v dosahu pozemku sa nachádza možnosť pripojenia na elektrinu (bod napojenia stanoví VSD)
- voda môže byť riešená vlastnou studňou

ZÁHRADKA - VÝMERY:

1.  412 m2 parcela 3519 /4      voľná
 2.  263 m2 parcela 3519/ 5      predané
 3.  266 m2 parcela 3519/ 6      predané
 4.  265 m2 parcela 3519/ 7      predané
 5.  264 m2  parcela 3519/ 8     predané
 6.  263 m2  parcela 3519/ 9     predané
 7.  263 m2  parcela 3519/10    predané
 8.  262 m2  parcela 3519/ 11   zarezervované
 9.  261 m2  parcela 3519/ 12   voľná
10. 261 m2 parcela 3519/ 13    voľná
11. 262 m2 parcela 3519/ 14    voľná
12. 262 m2 parcela 3519/ 15    voľná
13. 262 m2  parcela 3519/ 16   predané
14. 262 m2  parcela 3519/ 17   predané                                                                                                                                                                                                    
15. 262 m2  parcela 3519/ 18   voľná
16. 265 m2  parcela 3519/ 19   voľná
17. 436 m2  parcela 3519/ 20   voľná

CENA:
- cena od 25,- €/ m2 (záhradka aj podiel na prístupovej ceste v jednotnej cene), prvé 2 záhradky vedľa prístupovej cesty 29,- €/m2
- k cene záhradky je potrebné pripočítať cenu geometrického plánu (118,- €/ záhradka)
- záhradky č. 16 a 17 sú v cene 22,- €/m2, záhradka č. 15 je v cene 23,- €/m2

VIAC AKO 15 ROKOV NA TRHU - KANCELÁRIA ROKA 2019, 2020

V prípade záujmu nás prosím kontaktujte na tel. čísle 0907 030 623,
alebo mailom na adrese ponuky@garantreal.sk 

Môžete nás aj osobne navštíviť v kancelárii na Hlavnej ulici 70 v Prešove

Vlastnosti

Status:
aktívne
Vlastníctvo:
osobné
Plocha pozemku:
261 m2
Celková plocha:
261 m2

Maklér

MVDr. Dagmar Udičová, RSc.

MVDr. Dagmar Udičová, RSc.

konateľka, obchodná manažérka

  • Slovensky
  • Česky
  • English
  • Deutsch

Radi Vám poradíme

Podobné nehnuteľnosti